5 Pleasant Acres McCall, ID 83638
Directions
Hwy 55 Just North of Lake Fork on the corner of the Pleasant Acres and Hwy 55
Price: $729,000
Beds:
Baths: 0
Garages:
Type: Commercial
Area: McCall - 1800
Land Size: 1 Acre - 4.99 Acres, Level, Solar Potential, Views
SqFt:
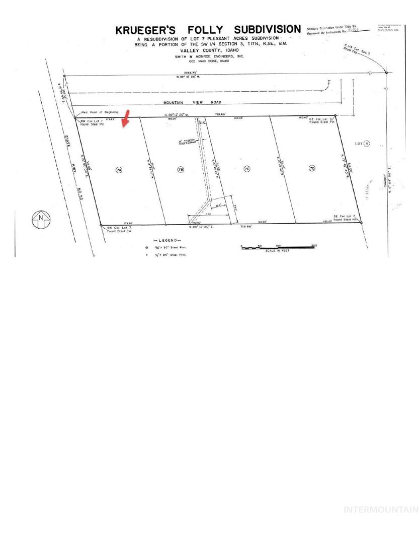
Acres: 2.48
Subdivision: 0 Not Applic.
Includes
Water: Proposed Well
Schools
School District: McCall-Donnelly Joint District #421
Sr High School: McCall Donnelly
Jr High School: McCall Donnelly
Grade School: McCall
Contact for more details:
A-Team Consultants
1099 S Wells St #200, Meridian, ID 83642
Phone: 208.761.1735 Email: info@ateamboise.com
1099 S Wells St #200, Meridian, ID 83642
Phone: 208.761.1735 Email: info@ateamboise.com
Description
Two HWY 55 commercial or industrial use parcels! The property has two septic approvals. Conveniently located between Donnelly and McCall, this is an ideal location for many commercial opportunities, employee housing, or storage buildings.
Legal Description:
Lot 7-A and Lot 7-B Kruger`s Folly
Lot 7-A and Lot 7-B Kruger`s Folly
| Listing info for this property courtesy of Silvercreek Realty Group Information deemed reliable but not guaranteed. Buyer to verify all information. All properties are subject to prior sale, change or withdrawal. Neither listing broker(s), shall be responsible for any typographical errors, misinformation, misprints and shall be held totally harmless. |


